Cap au Nord !
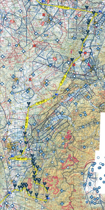
Des montagnes, des monts couverts de vignes, des marais, des réserves naturelles, des villes médiévales, des abbayes… tout au long des pays de Diois, du Valentinois, des monts du Lyonnais, des Dombes, du Bugey, de la Bresse, des vignobles du Jura, le Doubs… Pas de niveau de vol, mais au gré des vallées et des collines et des POI. La carte établie par notre ami Jean-Pierre Casanova peut nous donner de belles idées de digression !
Déjeuner à 2 km de l’AD de Saint Rambert d'Albon, au relais d’Albon, relais routier de cuisine familiale et traditionnelle française, à la réputation bien établie quant à la qualité de ses produits et la générosité de ses assiettes. Nous pourrons y déjeuner en terrasse et profiter d’un service rapide, efficace et convivial.
Nous aurons survolé les parcs naturels du Vercors, du Pilat et du Haut-Jura. Contournant la Suisse, nous aurons les Lac de Genève et de Neufchâtel sur notre droite pour nous rendre à Pontarlier, ville d’histoire et capitale mondiale de… l’absinthe, pour notre soirée d’étape. Pontarlier, ville pionnière de l'aviation qui a vu le 29 octobre 1910, le premier vol d’Auguste Junod à bord de son biplan Farman de 50 ch. L’année suivante, le premier meeting aérien de Franche-Comté attire plus de 10 000 personnes !
Des montagnes, des monts couverts de vignes, des marais, des réserves naturelles, des villes médiévales, des abbayes… tout au long des pays de Diois, du Valentinois, des monts du Lyonnais, des Dombes, du Bugey, de la Bresse, des vignobles du Jura, le Doubs… Pas de niveau de vol, mais au gré des vallées et des collines et des POI. La carte établie par notre ami Jean-Pierre Casanova peut nous donner de belles idées de digression !
Déjeuner à 2 km de l’AD de Saint Rambert d'Albon, au relais d’Albon, relais routier de cuisine familiale et traditionnelle française, à la réputation bien établie quant à la qualité de ses produits et la générosité de ses assiettes. Nous pourrons y déjeuner en terrasse et profiter d’un service rapide, efficace et convivial.
Nous aurons survolé les parcs naturels du Vercors, du Pilat et du Haut-Jura. Contournant la Suisse, nous aurons les Lac de Genève et de Neufchâtel sur notre droite pour nous rendre à Pontarlier, ville d’histoire et capitale mondiale de… l’absinthe, pour notre soirée d’étape. Pontarlier, ville pionnière de l'aviation qui a vu le 29 octobre 1910, le premier vol d’Auguste Junod à bord de son biplan Farman de 50 ch. L’année suivante, le premier meeting aérien de Franche-Comté attire plus de 10 000 personnes !
#_ Étape à l’Hôtel Kyriad Pontarlier, hôtel 3 étoiles au cœur de Pontarlier. Entouré d'espaces verts, cet hôtel tendance dispose d’un bar, une terrasse, un sauna, une piscine —.
#_ Pour cette soirée, faisons simple ! Dîner à côté de l’Hôtel, au Buffalo Grill. Une soirée de viandards dans une ambiance western, mais pas que !
#_ Pour cette soirée, faisons simple ! Dîner à côté de l’Hôtel, au Buffalo Grill. Une soirée de viandards dans une ambiance western, mais pas que !










