L’Est, en suivant la ligne Maginot et la ligne bleue des Vosges !
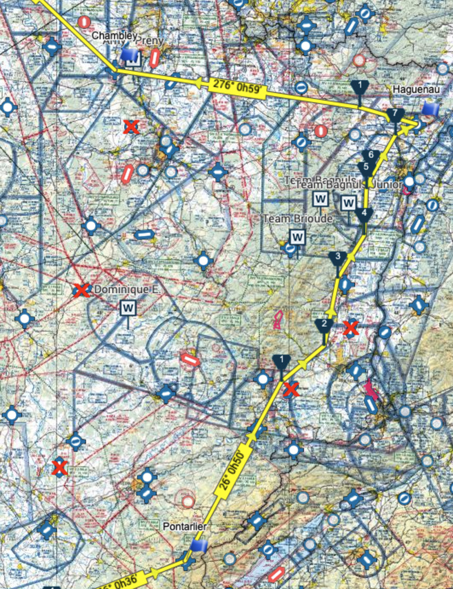
Au travers des pays de Besançon, de Lure, des Hautes Vosges, du Grand Ried, du Kochersberg et de la Forêt d’Hagueneau, il faudra avoir confiance dans nos machines, car c’est un vol au-dessus de superbes forêts alternant avec de vastes plaines couvertes de vigne, en bord du Rhin, qui nous attend.
Déjeuner au restaurant de l’aérodrome d’Hagueneau, Il Giardino d'Italia avec l’équipe de finess.max, le distributeur de la marque d’autogire ELA. Une ambiance typiquement italienne, avec antipasti, cassolette de fruits de Mer, saltimbocca, sans oublier les pizzas mais également entrecôte Angus, pavé de saumon ou calamars !
L’Outre-Forêt, le Hanau, l’Alsace Bossue et le Saulnois nous mèneront à Chambley, aérodrome un peu hors du commun dans le monde de l’ULM, avec son club aux centaines d’adhérents, son musée, ses quatre pistes héritées des installations de l’OTAN. Si nous n’avions pas été de si bonne compagnie, nous aurions pu garer nos machines au pied des aérogîtes présents sur l’aérodrome même ! Mais le côté pratique le cédera à l’historique, pour cette étape à l’Abbaye des Prémontrés, au cœur de Pont-à-Mousson, tour à tour place forte, ville avancée ou pays frontière !
Au travers des pays de Besançon, de Lure, des Hautes Vosges, du Grand Ried, du Kochersberg et de la Forêt d’Hagueneau, il faudra avoir confiance dans nos machines, car c’est un vol au-dessus de superbes forêts alternant avec de vastes plaines couvertes de vigne, en bord du Rhin, qui nous attend.
Déjeuner au restaurant de l’aérodrome d’Hagueneau, Il Giardino d'Italia avec l’équipe de finess.max, le distributeur de la marque d’autogire ELA. Une ambiance typiquement italienne, avec antipasti, cassolette de fruits de Mer, saltimbocca, sans oublier les pizzas mais également entrecôte Angus, pavé de saumon ou calamars !
L’Outre-Forêt, le Hanau, l’Alsace Bossue et le Saulnois nous mèneront à Chambley, aérodrome un peu hors du commun dans le monde de l’ULM, avec son club aux centaines d’adhérents, son musée, ses quatre pistes héritées des installations de l’OTAN. Si nous n’avions pas été de si bonne compagnie, nous aurions pu garer nos machines au pied des aérogîtes présents sur l’aérodrome même ! Mais le côté pratique le cédera à l’historique, pour cette étape à l’Abbaye des Prémontrés, au cœur de Pont-à-Mousson, tour à tour place forte, ville avancée ou pays frontière !
#_ Étape à l’Hôtel de l'Abbaye des Prémontrés, à Pont-à-Mousson. Un monument historique datant du XVIIIe siècle doté de jardins paysagers de 2,5 hectares, cet établissement 3 étoiles offre un cadre somptueux au bord de la Moselle. —
#_ Dîner à Pont-à-Mousson, Pierre Bonaventure, où nous pourrons nous rendre à pied ! La carte se veut celle du « bon goût d’autrefois » ! Incontournables os à moelle et pied de cochon, spécialités de viandes… Des plats cuits au feu de bois proposés dans un décor rustique entre murs rouges et pierres, ou en terrasse. Et accessoirement, bar à vins, avec toutes les promesses que cela implique…
#_ Dîner à Pont-à-Mousson, Pierre Bonaventure, où nous pourrons nous rendre à pied ! La carte se veut celle du « bon goût d’autrefois » ! Incontournables os à moelle et pied de cochon, spécialités de viandes… Des plats cuits au feu de bois proposés dans un décor rustique entre murs rouges et pierres, ou en terrasse. Et accessoirement, bar à vins, avec toutes les promesses que cela implique…










